Блошиный дерматит или…?

Сообщения
10
Город
Севастополь
Крым
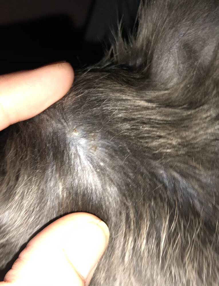
Всем привет. Купила щенка, длинношерстную двумесячную девчушку. Принесла домой, она чешется, голова и шея в шишках, похожих на шишки от укусов или блох или с собратьями грызлись. Блохи были. Обработала инспектором для масюнь ( посоветовали в ветклиники, ездила без неё, показала фото ). Буквально Через пол часа чесаться перестала. Но на месте болячек лысовато. Очень меня это беспокоит. Она серая, читала что у такого окраса может быть алопеция. Ваше мнение мне очень важно. Какие предположения? На Лишай не похоже? Фото как смогла сделала, вертится как юла.
 

Вложения

  • 1_8E1C5B60-5B12-4B0A-B685-68CCB25BD26E.jpeg
    Чихуахуа (8E1C5B60-5B12-4B0A-B685-68CCB25BD26E.jpeg)
    162,8 KB · Просмотры: 151
  • 1_4613A55C-4CEC-4A4F-9EB8-539016C48A8E.jpeg
    Чихуахуа (4613A55C-4CEC-4A4F-9EB8-539016C48A8E.jpeg)
    137,9 KB · Просмотры: 151
  • 1_57AFB00A-1532-45C2-B046-50D8C55054E6.jpeg
    Чихуахуа (57AFB00A-1532-45C2-B046-50D8C55054E6.jpeg)
    127,2 KB · Просмотры: 147
  • 1_60D46A0F-7391-431F-B0ED-4E43A574E73E.jpeg
    Чихуахуа (60D46A0F-7391-431F-B0ED-4E43A574E73E.jpeg)
    160,7 KB · Просмотры: 156
  • 1_B1948396-F8C7-4028-B6A1-21524F6ABB17.jpeg
    Чихуахуа (B1948396-F8C7-4028-B6A1-21524F6ABB17.jpeg)
    91,8 KB · Просмотры: 150
  • 1_CA7BA5F5-A591-4942-845A-D22DAB2268EB.jpeg
    Чихуахуа (CA7BA5F5-A591-4942-845A-D22DAB2268EB.jpeg)
    129,3 KB · Просмотры: 157
Сообщения
6.851
Город
Москва
Люблино
Если видели блох, то чего гадать-то? Через несколько дней обработайте от гельминтов. Блохи- переносчики глистов. Раны обрабатывайте хлоргексидином, можно использовать и противогрибковые мази (важно, чтобы в местах расчёсов не присоединилась грибковая инфекция). Алопеция здесь ни при чём. И серого окраса в породе нет. По "фрагментам" судить тяжело, видимо, голубо-палевый.
Неужели "заводчик" не видел, что творится со щенками?! Всегда показываю чистые кожные покровы...
 
Сообщения
10
Город
Севастополь
Крым
Огромное спасибо что не оставили без внимания. От глистов ее обрабатывали месяц назад и я ей неделю назад прокапала инспектор от блох и глистов. С хлорогексидином видела сегодня шампунь-может его взять? И мази противогрибковые посоветуйте пожалуйста. На днях для успокоения отвезу в ветклинику, но надеюсь не понадобится. Про алопецию спросила, потому что уши лысые, аж блестят. Только очёсы есть. Само ухо как кожаная перчатка-гладкое и практически без шерсти.
заводчица о блохах предупредила, сказала прям нашествие блох было. У нас в Крыму такое часто бывает.
 
Сообщения
10
Город
Севастополь
Крым
Мария, я думаю вы не в ту темку написали. А щенка наверное сложно перекормить особенно если он совсем маленький. Больше чем нужно он не съест. Если недавно приобрели, то он просто отъедается.
 
Сообщения
6.851
Город
Москва
Люблино
Огромное спасибо что не оставили без внимания. От глистов ее обрабатывали месяц назад и я ей неделю назад прокапала инспектор от блох и глистов. С хлорогексидином видела сегодня шампунь-может его взять? И мази противогрибковые посоветуйте пожалуйста. На днях для успокоения отвезу в ветклинику, но надеюсь не понадобится. Про алопецию спросила, потому что уши лысые, аж блестят. Только очёсы есть. Само ухо как кожаная перчатка-гладкое и практически без шерсти.
заводчица о блохах предупредила, сказала прям нашествие блох было. У нас в Крыму такое часто бывает.
По поводу глистов - то, что месяц назад, уже забыто и блохами разненсено)
Инспектор - да. Про шампунь - не знаю. Я бы просто обрабатывала места расчёсов 0,05% раствором хлоргексидина (если продаётся с другой концетрацией, то можно и до 2%). Мази - офломелид (помягче, начала бы с неё), тридерм - совсем мощная.
Про алопецию - теперь поняла, возможно. Окрас чётко определяется по мочке носа: серый нос - голубой пигмент, лиловый - соответственно. И по подушечкам лап соответственно. Окрас по длине волоса у щенка неодонородный (по фото), поэтому соболиный - голубой соболь, он же голубо-палевый, палево-голубой и пр. синонимы, либо то же самое, но в лиловом варианте. На мой взгляд, голубой.
 

Сверху