Обратите внимание: Компрессор для аквариума ACO 9730

Чихуахуа: "щелкают" суставы / вывих пателлы

morgan164

Актив
Сообщения
1.797
Город
Беларусь, Могилев
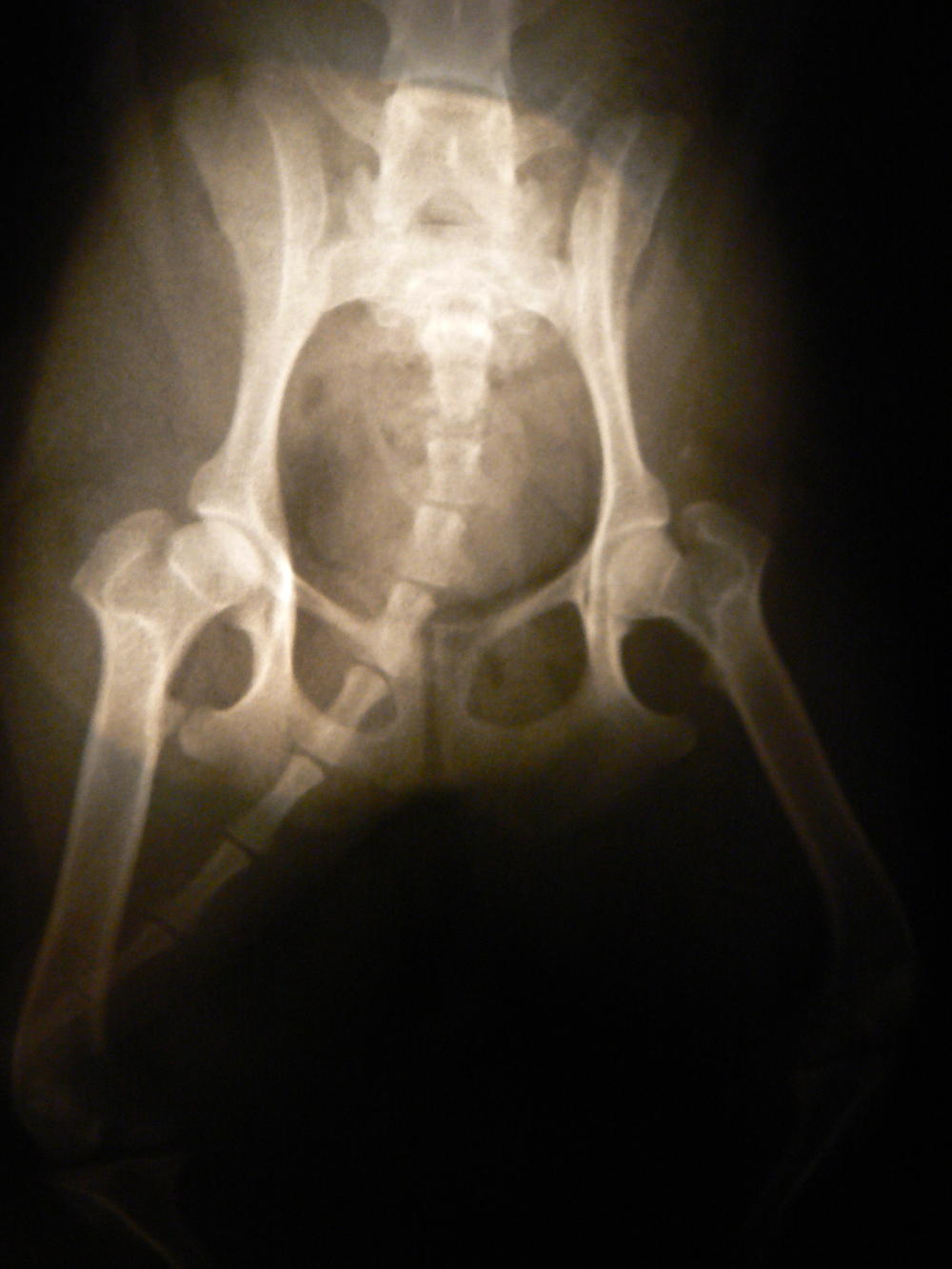
yamagutti, посмотрите пожалуйста на наш снимок. Проблема описывалась в теме"Подпрыгивает при ходьбе" Нам сказали, что с коленями все нормально, а вот с бедренными суставами - нет. Не знаю,что делать - т.к. сложилось впечатление, что врачи сами толком ничего не видят и не находят
 

Вложения

  • 1_P1010857.jpg
    Чихуахуа (P1010857.jpg)
    77,7 KB · Просмотры: 272

yamagutti

Ветеринарный врач
Актив
Сообщения
2.699
Снимок лучше фотографировать приложив к оконному стеклу.
Да в суставе есть изменения, дефартроз, а может быть и некроз головки бедра.
 

morgan164

Актив
Сообщения
1.797
Город
Беларусь, Могилев
Девочки, может у кого есть опыт лечения такого заболевания, какие прогнозы? Кто знает хороших специалистов по операциям (Питер,Москва)? Сколько может стоить? Простите за сумбур, в голове не укладывается,сижу реву, т.к у нас надеяться не на что (спецов просто нет)
 

yamagutti

Ветеринарный врач
Актив
Сообщения
2.699
yamagutti, Я в шоке, что нам делать? собаке только 9 месяцев. Попробую выложить рентген получше. Что бы Вы посоветовали?
Честно, я не травматолог. По снимку можно только предполагать, а он к тому же низкого качества.
Окончательный диагноз должен ставить он, при этом собачку надо еще и пощупать.
Я думаю, Вам нужно в Москве найти специалиста.
 

morgan164

Актив
Сообщения
1.797
Город
Беларусь, Могилев
yamagutti, спасибо Вам, покажу снимки еще одному вету, ну а дальше будем что-то думать. У нас даже в столице постоянно практикующих специалистов нет, а тем кто делает наобум давать собу не хочу.
 

Сверху