Обратите внимание: Компрессор для аквариума ACO 9730

Чихуахуа: "щелкают" суставы / вывих пателлы

yamagutti

Ветеринарный врач
Актив
Сообщения
2.699
Gmarina написал(а):
А я и не знаю что делать. Когда Микки ходит дома , на задних ножках скакательный сустав или где предплюсна, как-то неправильно "работает". Смотрится ужасно, неестественно! Как-будто сдвигается когда распрямляется - вперед, не знаю даже как и объяснить. Ходили к хирургу-травматологу, он подвигал ему нужки, сделали снимок и врач сказал, что все нормально, что он видел много больных суставов и к нам это не относится, но я же вижу, что ненормально. Может такое быть, что снимок показывает, что все нормально, а на самом деле нет и еще бывают ли проблемы в скакательных суставах?

Снимок и пальпацию сустава лучше проводить под общей анестезией.
У Вас есть возможность выложить снимки?
 
Последнее редактирование модератором:

Gmarina

Опытный участник
Сообщения
553
Город
город Москва
yamagutti написал(а):
Снимок и пальпацию сустава лучше проводить под общей анестезией.
У Вас есть возможность выложить снимки?

Снимок мне делать помогал сын, мы растянули Микушу "в струнку". Вечером, когда придет сын я попрошу его выложить снимок, т.к. я не представляю как это делается.
 
Последнее редактирование модератором:

Elen & Co

VIP
Сообщения
15.114
Город
Москва
с зади выставите свет или прилепите на окно и сфотографируйте без вспышки.
 

Gmarina

Опытный участник
Сообщения
553
Город
город Москва
yamagutti написал(а):
Снимок и пальпацию сустава лучше проводить под общей анестезией.
У Вас есть возможность выложить снимки?

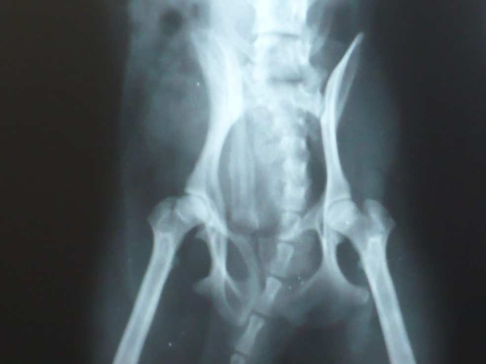
Вот снимок с разным увеличением суставов Микуши. yamagutti, обратите, пожалуйста, внимание и на скакательные суставы, хоть их и мало видно
 

Вложения

  • 1_1.JPG
    Чихуахуа (1.JPG)
    169,1 KB · Просмотры: 201
  • 1_2.JPG
    Чихуахуа (2.JPG)
    238,2 KB · Просмотры: 206
  • 1_3.JPG
    Чихуахуа (3.JPG)
    246,3 KB · Просмотры: 208
  • 1_4.JPG
    Чихуахуа (4.JPG)
    299,4 KB · Просмотры: 214
  • 1_5.JPG
    Чихуахуа (5.JPG)
    337,2 KB · Просмотры: 270
  • 1_6.JPG
    Чихуахуа (6.JPG)
    338,1 KB · Просмотры: 244
  • 1_7.JPG
    Чихуахуа (7.JPG)
    263,6 KB · Просмотры: 320
Последнее редактирование модератором:

busia

Опытный участник
Сообщения
379
У меня ужасная паника:flushed:
неделю назад пару раз ловила Платошу на томчто он подгибает заднюю лапку...Сегодня приехала на выходные с учебы домой,гуляли с Платой,кидала ему мячик,заметила,что ножку он поднимает чаще,при этом не скулит,ничего.Нашла эту темку прочитала,и сижу реву.Как считаете у нас тоже вывих пателлы?В городе у нас нет ренгена,повезу его только на сл.неделе.И о врачах этой больницы,никаких хороших отзывов,много животных угробили,др больницы в соседних городах по близости просто нет.У меня паника и огромный страх.
:flushed::flushed:
 
Последнее редактирование модератором:

Gmarina

Опытный участник
Сообщения
553
Город
город Москва
busia написал(а):
У меня ужасная паника:flushed:
неделю назад пару раз ловила Платошу на томчто он подгибает заднюю лапку...Сегодня приехала на выходные с учебы домой,гуляли с Платой,кидала ему мячик,заметила,что ножку он поднимает чаще,при этом не скулит,ничего.Нашла эту темку прочитала,и сижу реву.Как считаете у нас тоже вывих пателлы?В городе у нас нет ренгена,повезу его только на сл.неделе.И о врачах этой больницы,никаких хороших отзывов,много животных угробили,др больницы в соседних городах по близости просто нет.У меня паника и огромный страх.
:flushed::flushed:

Заранее не паниковать!!!!! :net-net: Мало ли что у собы, сначала подольше понаблюдайте и если в течение энного промежутка времени будет это продолжаться, тогда и паникуйте!
 
Последнее редактирование модератором:

Elen & Co

VIP
Сообщения
15.114
Город
Москва
Понаблюдайте за ним...послушайте сустав, не щелкает ли!? Как он ставит лапки, ровно или нет... раньше не замечали никакого дискомфорта в этой ножке при движении?
 

Сверху